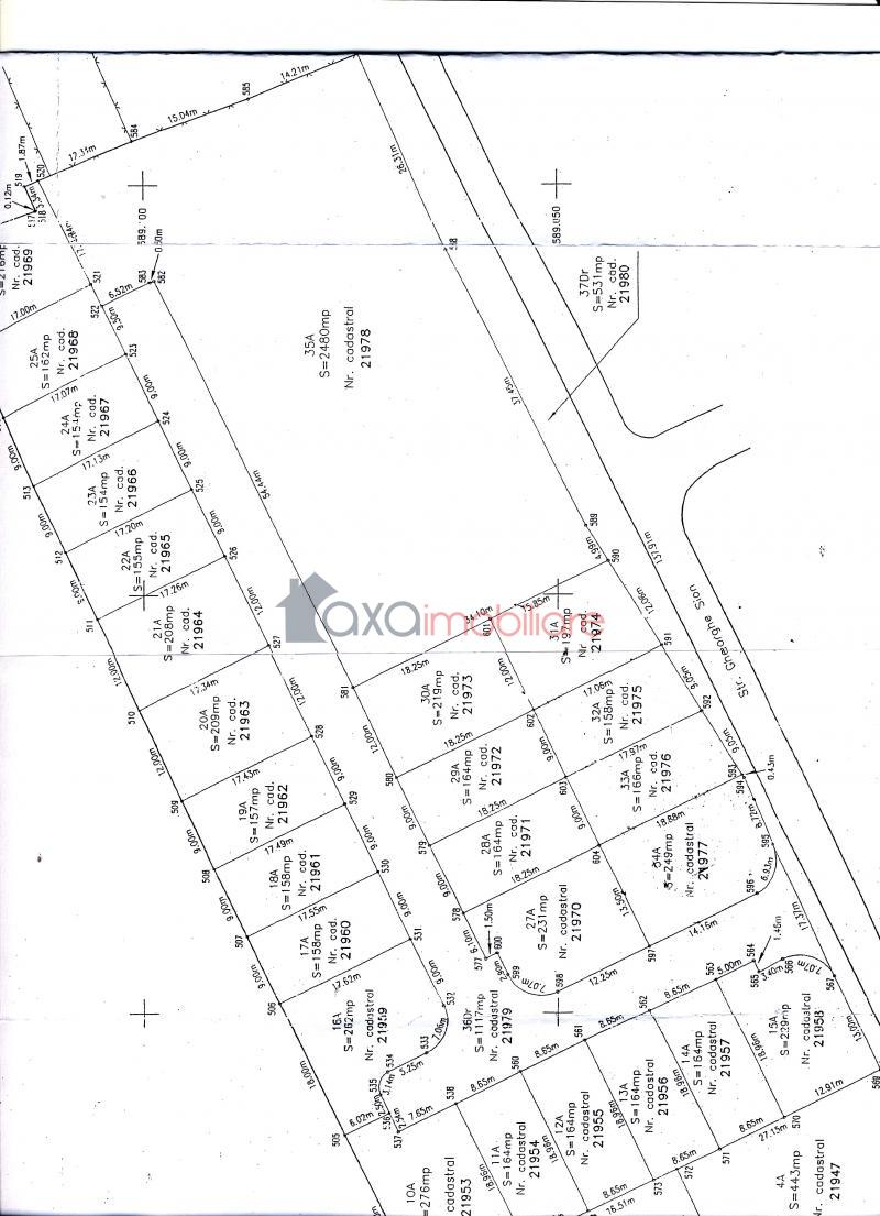
Teren de vanzare in Cluj-Napoca, Dambul Rotund ID 1684
Pret/mp:
50 EURO/m2
Suprafata:
420 m2
Front:
18 m
Localitate:
Cluj-Napoca
Cartier:
Dambul Rotund
Adaugat in data:
01-06-2012
Actualizat in data:
27-01-2014
Vizite oferta:
12880
Dotari imobil
Teren intravilan
Utilitati
Apa
Gaz
Electricitate
Canalizare
CF
PUZ
PUD
CF
Descriere imobil
Axa Imobiliare ofera spre vinzare parcele de teren,cu diverse suprafete ,in cartierul Dambu-Rotund zona strazii Busuiocului pentru constructie casa sau duplex, cu toate utilitatile, panorama deosebita.Pret 50euro/mp negociabil.
Folositi formularul de mai jos pentru a ne contacta
Persoana de contact: Ciuca Aurica
Telefon: 0752/283205
Fax: + 40 264 333 147
Email: aurica@axaimobiliare.com
Adresa: Cluj-Napoca, Str. Memorandumului, nr. 19



